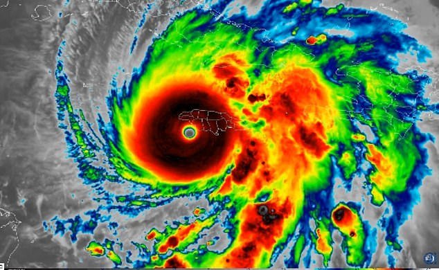
El huracán Melissa tocó tierra en el Caribe el lunes por la tarde mientras la aterradora tormenta se perfila como la peor de la historia.
Se espera que el huracán de categoría 5, descrito como la «tormenta del siglo» y ahora más poderoso que Katrina, cause daños en toda Jamaica con intensas inundaciones y vientos de hasta 300 km/h.
El ojo de la tormenta está actualmente rodeado por fuertes vientos, también conocidos como pared del ojo.
El intenso viento se dirigió hacia Jamaica antes de que la tormenta tocara tierra alrededor de la 1 p.m. cerca de New Hope, según el Centro Nacional de Huracanes.
Los ministros advirtieron a los residentes jamaiquinos que no “apostaran contra Melissa” y advirtieron que quien no se proteja está poniendo en riesgo su vida.
Melissa es uno de los huracanes más fuertes que ha tocado tierra en el Atlántico. Sólo otras dos tormentas, Dorian en 2019 y el huracán del Día del Trabajo en 1935, han hecho esto en el pasado.
Dorian también tuvo vientos de 185 pmh cuando azotó las islas Ábaco en las Bahamas.
Jamaica no había sido azotada por un huracán tan intenso desde 1988, cuando Gilbert tocó tierra.
Este huracán era de categoría 4 y azotó al oeste de Kingston.
El huracán Melissa tocó tierra en el Caribe el lunes por la tarde mientras la aterradora tormenta se perfila como la peor de la historia. El ojo de la tormenta está actualmente rodeado por fuertes vientos
Se ve a personas nadando en el agua mientras el huracán Melissa se acerca a Kingston, Jamaica, el martes.
Hasta 20 pulgadas de lluvia azotaron partes del Estado del Sol durante la noche del domingo y lunes, provocando inundaciones repentinas.
El Servicio Meteorológico Nacional (NWS) declaró que el lento sistema de tormentas era una “situación particularmente peligrosa”.
Se publicaron fotos y videos en las redes sociales que muestran el resort de cuatro estrellas The Boca Raton en Boca Raton inundado por las inundaciones.
Aguas turbias entraron en el vestíbulo del hotel de lujo, inundándolo, junto con los muebles del jardín, y derramándose en el interior, por lo que el personal tuvo que recurrir a vadear.
También se difundieron imágenes que muestran calles de Mount Dora, en el centro del estado, completamente arrasadas por las lluvias torrenciales.
El área recibió hasta 17,8 pulgadas de lluvia y la cercana Eustis recibió 19,7 pulgadas en un período de 24 horas.
Zach Law, meteorólogo del NWS, dijo ABC Noticias que partes del estado no habían visto tales niveles desde el huracán Ian en 2022.
Un portavoz de Boca Ratón dijo que el área fue despejada y que el hotel estaba funcionando normalmente nuevamente, sin impacto para los huéspedes.
La mayor parte del agua estancada en Boca Ratón retrocedió el lunes después de que el sistema de gestión de aguas pluviales de la ciudad pudo recuperarse, dijeron las autoridades.
Algunas áreas del sureste todavía experimentaban agua estancada hasta el lunes por la tarde, y no se reportaron daños significativos a las viviendas.
Según la policía local, hasta 100 coches fueron remolcados tras ser abandonados el domingo por la noche.
El aeropuerto de Boca Ratón tuvo que cerrar temporalmente debido a graves inundaciones antes de reabrir el lunes.
Después del diluvio que azotó el estado a principios de esta semana, los meteorólogos dijeron que ahora se avecinaba un «clima otoñal» con una perspectiva estable.
Esto se produce mientras el huracán Melissa, de categoría 5, se dirige hacia Jamaica, con vientos de hasta 175 mph.
La isla se está preparando para inundaciones catastróficas en lo que los expertos han descrito como «la tormenta del siglo».
Una sección arrasada de Donnelly Street en Mount Dora se ve aquí el lunes después de que los aguaceros empaparon el área con casi 20 pulgadas de lluvia.
Mount Dora recibió hasta 17,8 pulgadas de lluvia y el cercano Eustis recibió 19,7 pulgadas en un período de 24 horas.
El huracán más poderoso de 2025 tocará tierra hoy, generando terribles advertencias de daños generalizados, y se insta a los jamaiquinos a buscar refugio en terrenos más elevados.
Se espera que Melissa toque tierra en las próximas horas y los rastreadores muestran que cruzará la isla en diagonal.
La tormenta se intensificó hasta alcanzar la categoría 5 (fuerza máxima) el lunes y ya ha comenzado a azotar la costa con vientos y olas “que amenazan la vida”.
Los meteorólogos confirmaron que Melissa era ahora más intensa que Katrina, que causó daños estimados en 125 mil millones de dólares y mató a 1.392 personas cuando azotó Nueva Orleans en 2005.
No se espera que Melissa toque tierra en los Estados Unidos, pero los meteorólogos han advertido sobre fuertes olas a medida que la tormenta avanza a lo largo de la costa este.
La tormenta se mueve lentamente hacia el noreste, según el Centro Nacional de Huracanes.
“Durante los próximos días, se espera que el huracán acelere hacia el noreste como parte de un flujo previo a la depresión cada vez más profundo sobre el sureste de Estados Unidos”, dijo la agencia.
“Este flujo de dirección llevará el núcleo de Melissa a través de Jamaica hoy, sobre el este de Cuba el miércoles temprano y a través del sureste o centro de las Bahamas más tarde el miércoles.
«Entonces se espera que el huracán pase cerca de las Bermudas el jueves por la noche o la madrugada del viernes».















